Pencarian
Hasil Pencarian
17 artikel ditemukan

internasional
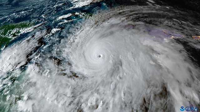
Badai Melissa Melemah, Karibia Luluh Lantak: 50 Tewas, Kerugian Capai Rp700 Triliun
Badai Melissa melemah setelah luluh lantakkan Karibia, menewaskan 50 orang dan kerugian Rp700 triliun. Dapatkan overview, referensi, dan metrik dampak lengkapnya.
sekitar 24 jam yang lalu

internasional
Badai Melissa: 49 Tewas, Badai Terkuat Atlantik Landa Karibia
Badai Melissa tewaskan 49 jiwa, badai terkuat Atlantik landa Karibia. Dapatkan metrik, referensi, dan ringkasan lengkap dampak tragedi ini.
1 hari yang lalu

internasional
Badai Melissa: Korban Tewas Hampir 50 Orang, Kekuatan Dikaitkan Perubahan Iklim
Badai Melissa tewaskan hampir 50 orang, kekuatannya dikaitkan perubahan iklim. Baca referensi & metrik terbaru badai ini.
1 hari yang lalu

internasional
Badai Melissa Hantam Karibia, 49 Orang Tewas di Jamaika-Haiti
Badai Melissa hantam Karibia, menewaskan 49 orang di Jamaika & Haiti. Ikuti perkembangan terbaru & dampak badai ini di sini.
1 hari yang lalu

internasional
Badai Melissa: Korban Tewas Meningkat Jadi 44, Karibia Porak-poranda
Badai Melissa: Korban tewas 44, Karibia porak-poranda. Kunjungi untuk informasi lengkap tentang dampak, kerusakan, dan upaya pemulihan pasca-badai.
1 hari yang lalu

internasional
Badai Melissa: 44 Tewas di Karibia, Jamaika Porak-poranda Dihantam Kategori 5
Badai Melissa tewaskan 44 di Karibia, Jamaika porak-poranda dihantam Kategori 5. Baca detail dampak, korban, dan kerusakan yang terjadi.
2 hari yang lalu

internasional
Badai Melissa Luluh Lantakkan Jamaika, Listrik dan Komunikasi Lumpuh Total
Badai Melissa hancurkan Jamaika, sebabkan listrik & komunikasi lumpuh total. Dapatkan update terkini, dampak kerusakan, & bantuan darurat di sini.
2 hari yang lalu

internasional
Badai Melissa Hantam Jamaika, 4 Tewas dan 25 Ribu Warga Mengungsi
Badai Melissa hantam Jamaika, sebabkan 4 tewas & 25 ribu mengungsi. Dapatkan info terkini dampak, perkiraan cuaca, & bantuan evakuasi.
3 hari yang lalu

internasional
Badai Melissa Terjang Karibia: Puluhan Tewas, Bahama Siaga
Badai Melissa terjang Karibia, puluhan tewas & Bahama siaga. Dapatkan info terbaru korban, kerusakan, & prediksi jalur badai.
3 hari yang lalu

internasional
Badai Melissa: Kota Pelabuhan Kuno Jamaika Hancur Total, Tak Dikenali
Saksikan kehancuran total Badai Melissa di kota pelabuhan kuno Jamaika. Temukan dampak, analisis kerugian, dan referensi lengkap bencana alam ini.
3 hari yang lalu

internasional
Badai Melissa Terjang Karibia, Haiti Tewaskan 25 Orang
Badai Melissa terjang Karibia, Haiti tewaskan 25 orang. Cari tahu dampak, jumlah korban, dan wilayah terdampak badai tersebut di sini.
3 hari yang lalu

internasional
Badai Melissa Hantam Kuba, Jamaika Porak-poranda Dihantam Kategori 5
Kuba & Jamaika porak-poranda dihantam Badai Melissa Kategori 5. Dapatkan informasi lengkap dampak, perkiraan kerugian, dan upaya penanggulangan pascabencana.
3 hari yang lalu

internasional
Badai Melissa Hantam Bahama, Tinggalkan Kehancuran di Karibia
Badai Melissa hantam Bahama, tinggalkan kehancuran parah. Dapatkan info terkini, dampak, dan analisis mendalam terkait bencana di Karibia ini.
3 hari yang lalu

internasional
Badai Melissa Terjang Karibia, Tewaskan 25 Orang dan Rusak Parah
Badai Melissa terjang Karibia, tewaskan 25 orang. Simak ringkasan metrik, gambaran umum dampak, dan referensi lengkap kerusakan parah di wilayah tersebut.
3 hari yang lalu

internasional
Badai Melissa Picu Banjir Haiti, 20 Orang Tewas dan 10 Hilang
Badai Melissa picu banjir parah di Haiti, menyebabkan 20 orang tewas dan 10 hilang. Dapatkan update terkini dan referensi lengkap mengenai bencana ini.
3 hari yang lalu

internasional
Badai Melissa Landa Karibia: 10 Orang Tewas, Kuba Siaga Penuh
Badai Melissa landa Karibia, tewaskan 10 orang. Kuba siaga penuh hadapi dampaknya, pantau perkembangannya secara langsung.
3 hari yang lalu

internasional
Badai Melissa Belum Usai, Buaya Liar Kini Ancam Warga Jamaika
Badai Melissa belum usai, kini ancaman buaya liar di Jamaika semakin nyata. Warga diminta waspada, simak informasi lengkap dan langkah pencegahan terbaru.
3 hari yang lalu